Petit souci de révéil on se lève avec 1h d’avance mais bon on se recouche 🙂
On prend un bus 1ère classe ADO pour aller plus vite dans notre trajet de 4h direction Playa del Carmen / Isla Cozumel.
Arrivé à playa del Carmen, il y a beaucoup de touriste et de resort… On se renseigne pour la plongée, c’est assez cher et si on organise une plongée sur Cozumel on doit payer le ferry. Du coup on préfère l’option de prendre le ferry et de loger/plonger de l’autre côté directement.
Incroyable entre 2 compagnies de ferry pour le même trajet le prix est différent J on prend le moins chers !
Arrivé à Cozumel, ce n’est pas tout à fait l’idée qu on peut se faire d une île, elle mesure ~50km de long par ~15km de large 🙂
On va dans le 1er dive center qu’on va et là, c’est dingue on tombe sur un dive center de québécois et du coup, Jean-François nous parle français, avec un bel accent (surtout quand il nous parle du récif et du mûr)…
On négocie 3 jours de plongée et 4 nuits, c’est tip top. En plus, Steve, le boss nous amène à notre maison en voiture, quel luxe sous 40° c.

Incroyable la maison à une piscine dans le salon hihi et plusieurs chambres/salle de bain, il y a aussi un autre couple qui y habite.
On prend nos marques, on va au supermarché acheter pour nos petits déjeuner et voilà.
Du 17 au 19 on fait de la plongée 2x par jour, le team est super on rencontre Eli de Bretagne et Gaëtan de Lausanne et vous nous croirez pas si on vous dit qu’on a croisé dans le dive center, Jérôme, notre guide de plongée sur l’île de Bornéo en 2012. On rencontre également Cécilia, Françoise, Robert, Vanessa et François des québécois super sympas !!! On sympathise et on ira manger avec toute l’équipe un soir.
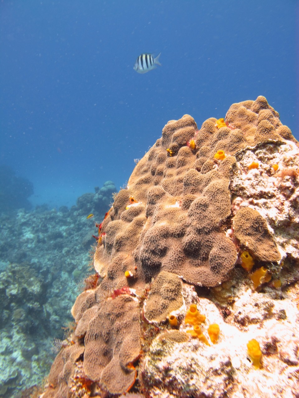
Les plongées sont toutes dérivantes, il y a pas mal de courant, nos plongées au nord sont un peu moins diversifiées qu’au sud. Le corail est beau, il n’y a pas énormément de poisson par contre ils sont énormes J En résumé, tortues, homards, barracuda, poissons anges, poissons perroquets, poisson lion, requin nourrice, crabe, muraine….
On décide de ne pas faire le tour de l’île car on l’a bien parcourue en bâteau et on se met en route pour de nouvelles aventures.
Un grand merci à l’équipe de Plongée Grand Cozumel, c’était top, bisous à Eli, Gaëtan, Jean-François et Steve.


